Explorers have discovered a series of mysterious, "perfectly aligned" holes
punched into the seafloor roughly 1.6 miles (2.6 kilometers) beneath the
ocean surface, and they have no idea who or what made them.
The strange holes were spotted by the crew of the National Oceanic and
Atmospheric Administration's (NOAA) Okeanos Explorer vessel as they
investigated the Mid-Atlantic Ridge — a mostly unexplored region of the
seafloor that is part of the world's largest mountain range.
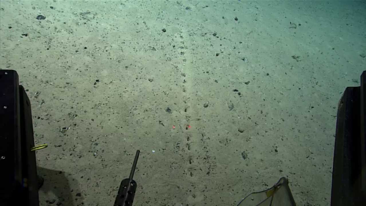
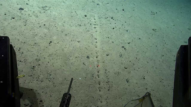
The holes form a straight line and appear at regularly repeating distances,
and they are surrounded by tiny mounds of sediment. This isn't the first
time that holes have been spotted in the area; two marine scientists from
the U.S. National Marine Fisheries Service also spotted mysterious hollows
in the ocean floor during a dive in 2004.
"These holes have been previously reported from the region, but their origin
remains a mystery," the NOAA researchers wrote on Facebook. "While they look
almost human made, the little piles of sediment around the holes make them
seem like they were excavated by... something."
In 2004, scientists proposed that an organism living in or sifting through
the seafloor's sediment made the holes, but because no one has seen such
creatures make them, their exact origins are unknown. Public speculation
under the NOAA post's Facebook page ranged widely — from cracks in the
floor's surface made by escaping gas, to underwater human craft digging for
treasure, to ants, aliens and even starfish doing cartwheels.
The unresolved mystery is reminiscent of an underwater "yellow brick road"
to Atlantis that ocean explorers discovered on top of an underwater mountain
near Hawaii in May. Scientists explained that discovery — they suspected
that heating and cooling of the seafloor across multiple volcanic eruptions
created the strange path.
What is creating the holes, on the other hand, may take a little longer to
figure out. The researchers will continue to explore the region until
September as part of the Voyage to the Ridge 2022 expedition, which aims to
map out the region's coral reefs and sponge habitats alongside studying the
region's hydrothermal vents and its fracture and rift zones. Maybe if
they're lucky, they might just catch the hole-maker in the act.
Originally published on
Live Science.
